Ultima ora - Martedì 28 Ottobre 2025 | aggiornato alle 12:20
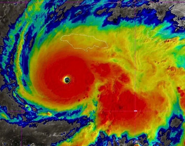
Meteo: l'Uragano Melissa è il mostro atmosferico più forte del 2025, si temono alluvioni catastrofiche
L’Uragano Melissa è diventato un mostro atmosferico di categoria 5, la più distruttiva. Con venti che toccano i 280 km/h e... Leggi la notizia completa su iLMeteo.it
